品湛動物醫院
耐心、愛心醫療團隊,24小時全年無休、細心照料

急!急!急!Baby沒生出來啦!怎麼辦?

狗貓難產 (Dystocia)

品湛動物醫院 黃永盛醫師

概要

難產的原因很多,可能是媽媽或胎兒的問題,最常打電話來問的問題就是:醫生,我的母狗羊水已經破了,但是,胎兒還沒有生出來,現在怎麼辦呢?需要把牠送去醫院嗎?

臨床症狀

狗貓的生產過程跟人有很大不同,一般常見的產前症狀包括:喘、挑食甚至不吃、和體溫下降…等其它生產的症狀,但是,如果母狗(貓)出現用力的跡象已經20~30分鐘以上,甚至出現以下症狀,但是都沒有產出胎兒,須立即送醫:

  1. 懷疑出現生產的症狀,但是超過12小時以上,沒有出現胎兒跟其他跡象。
  2. 羊水已破裂2小時以上,還沒有胎兒生出。
  3. 出現水球(胎兒的尿囊) 2小時以上,還沒有胎兒生出。(可見下圖)
  4. 出現綠色分泌物2小時以上,還沒有胎兒生出。
  5. 母狗(貓)呈現疲累狀態,停止生產2小時還沒有胎兒生出。
  6. 上一胎與下一胎超過2小時以上,仍然還有胎兒沒有生出。
  7. ​出現紅色分泌物2小時以上,仍然還有胎兒沒有生出。
原因

引起難產的原因非常多,母狗(貓)的原因約占6-7成,最常見的是子宮無力、產道狹窄...等;而胎兒引起的原因約3成,最常見的是胎位不正、胎兒過大…等,須透過檢查才知道。

治療

如果經由檢察是子宮無力,可以打催產針等待30分鐘,如果還是沒有胎兒生出,就需要剖腹產。根據統計,約有67%的母狗跟80%的母貓需要進行剖腹產手術。而短吻犬品種,如:法國鬥牛犬、西施犬…等,因頭顱過大一定要剖腹產。

萬一沒處置會有什麼風險?

如果母狗(貓)發生難產,胎兒死掉會有死後變化,產生氣體和毒素透過子宮被吸收,嚴重程度就像子宮畜膿一樣,多數母狗(貓)會死亡,少數幸運的胎兒會被吸收掉。


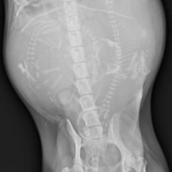
難產案例介紹

上圖為母犬出現用力生產的跡象,並且於出現羊水破裂1小時後,仍然沒有胎兒生出,因此於103年10月的夜間前往動物醫院就診。
出現水球 (胎兒的尿囊,正常生產會連同胎兒出生),但是依然沒有胎兒生出。

經過檢查後診斷為難產,原因是母狗產道狹窄,導致胎兒頭顱無法通過。主人當機立斷請獸醫師進行剖腹產,搶救胎兒的生命。

手術順利搶救出一對瑪爾濟斯姊妹,醫務人員正在用吹風機保溫。

這對姊妹依偎在一起,想要找媽媽吸奶水。


耐心、愛心醫療團隊
24小時全年無休、細心照料

醫院營業時間
CONSULTATION SERVICE

上午門診:09:30 ~ 12:00 (最後預約11:00)
下午門診:14:00 ~ 21:00 (最後預約17:30)
晚間門診:18:00 ~ 21:30
急診時段:21:30 ~ 08 :30
每週四:休診至22:00

旅館營業時間
CONSULTATION SERVICE

美容院營業時間:09:00 ~ 18:00
洗澡預約時間最晚:17:00
剪毛預約時間最晚:15:30
旅館入住時間:09:00 ~ 20:00

特寵編號C1120411號

探病時間
VISITING TIME

上午門診:11:00 ~ 12:00
下午門診:15:00 ~ 16:00
晚間門診:18:00 ~ 20:00